Navigation
- एनसीटी दिल्ली के लिए उप-क्षेत्रीय योजना का मसौदा-2021
- सामान्य प्रशासन
- स्वच्छता ही सेवा अभियान
- एकीकृत नाली प्रबंधन प्रकोष्ठ (आईडीएमसी)
- अनधिकृत कॉलोनियों सेल (यूसी)
- दिल्ली के प्रवेश द्वारों का सौंदर्यीकरण
- नगर निकाय
- स्थानीय निकाय निदेशक
- लेखा और बजट
- संसद कक्ष
- राज्य नाम प्राधिकरण (एसएनए)
- अंतर्राष्ट्रीय मामले प्रकोष्ठ (आईसी)
- जल एवं सीवरेज क्षेत्र
- शहरी नवीकरण
- शहरी गांवों का विकास
- ट्रांस यमुना क्षेत्र विकास बोर्ड
- शहरी बुनियादी सेवा कार्यक्रम
- डिजिटल मैपिंग परियोजना
- कार्यान्वयन एजेंसियों को योजना निधि जारी करना
- सहायता अनुदान
- रात्रि आश्रय
- एमएलएएलएडी योजना की प्रगति रिपोर्ट
- ड्राफ्ट मॉडल टेनेंसी एक्ट 2020 के संबंध में
| SI. No. | Reg NO. | Title | Application Forms | Maps & Layout Plans |
|---|---|---|---|---|
| 631 | 679 | New Ashok Nagar, Chilla Saroda, Bangar, Delhi-96 | Click Here | Click Here |
| 632 | 680 | Sanjay Enclave,C-1 Block, Uttam Nagar, Delhi-59 | Click Here | Click Here |
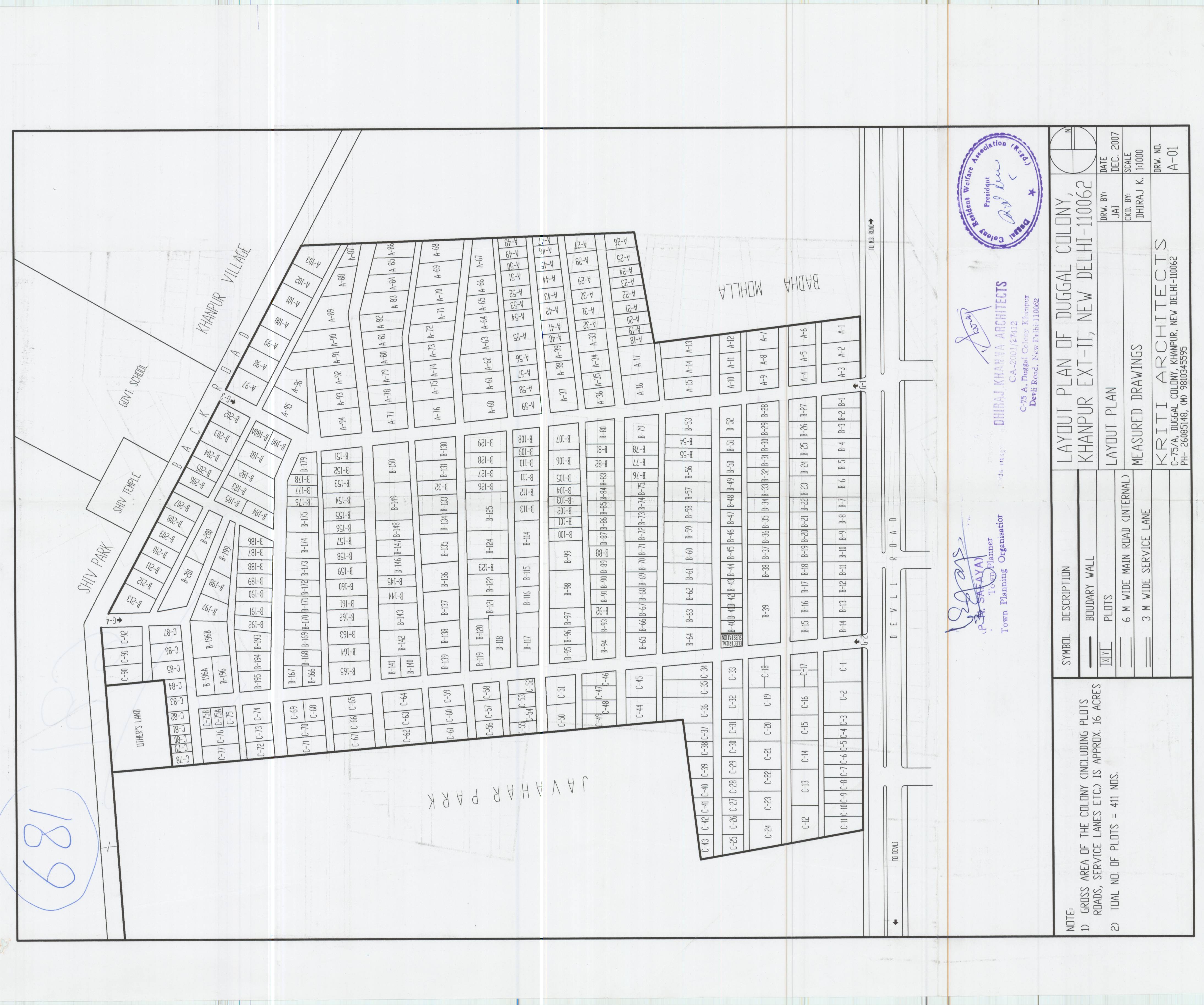
| 633 | 681 | Duggal Colony, Khanpur Extn. Part-II, New Delhi-62 | Click Here | Click Here |
| 634 | 682 | Mohan Baba Nagar, Tajpur Extn. Badarpur, Delhi-44 | Click Here | Click Here |
| 635 | 683 | West Sant Nagar Colony,A 2 Block, Burari, Delhi-84 | Click Here | Click Here |
| 636 | 684 | Vikas Enclave, Vikas Nagar Phase-III-B, Uttam Nagar, Delhi-59 | Click Here | Click Here |
| 637 | 685 | Krishna Enclave Part-II, Dhichaon Kalan Road, New Delhi-72 | Click Here | Click Here |
| 638 | 686 | Shiv Vihar Phase-II, Karawal Nagar, Delhi-94 | Click Here | Click Here |
| 639 | 688 | Nathu Colony, Nathupura, Delhi-84 | Click Here | Click Here |
| 640 | 689 | Shyam Enclave (Z-Block), Gopal Nagar Extn. Najafgarh | Click Here | Click Here |
शहरी विकास विभाग (यू.डी)